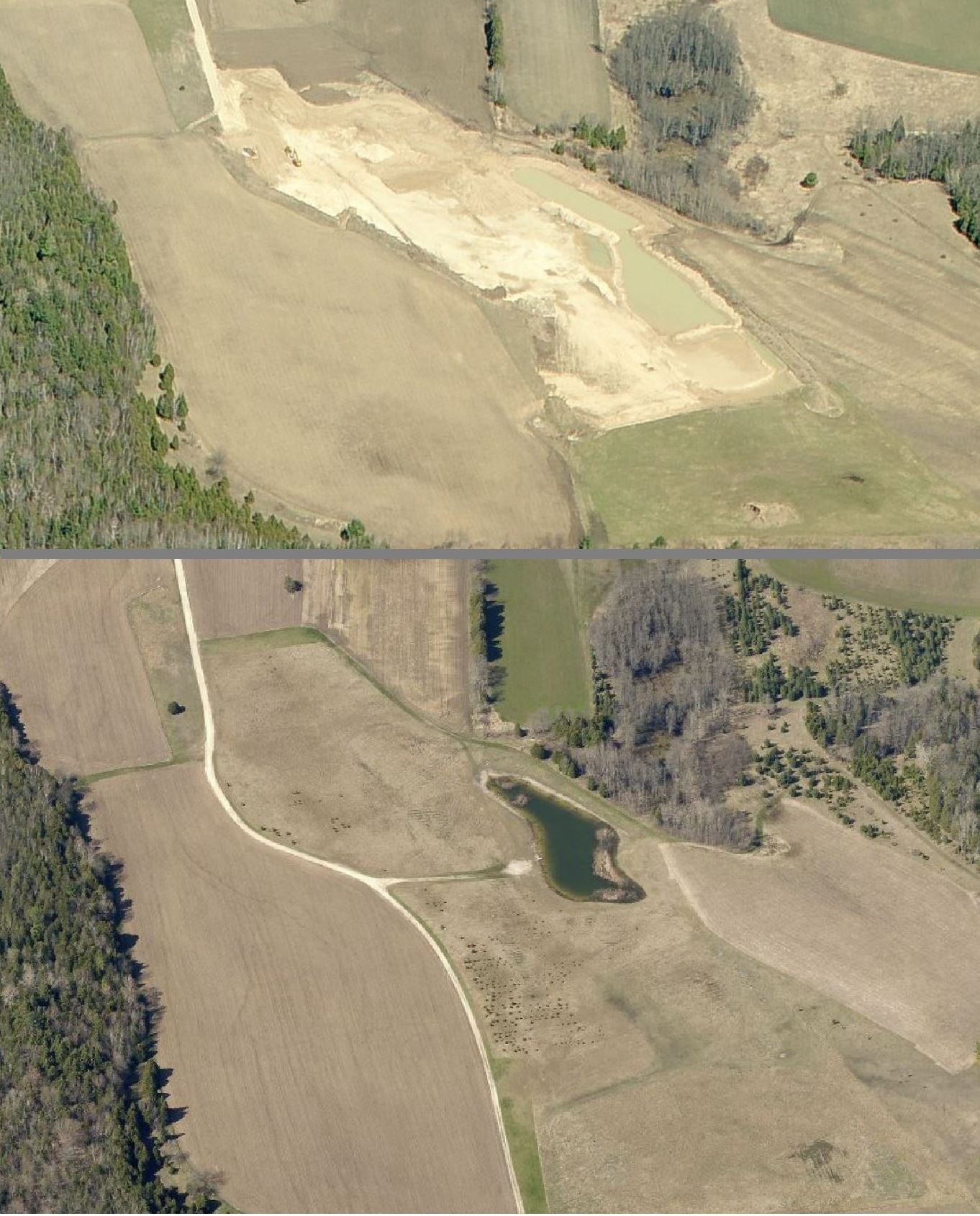
WCD administers Door County Code Chapter 36 to ensure local nonmetallic mining sites will be properly reclaimed in accordance with State Administrative Code and Statutes. All operators of nonmetallic mining sites shall prepare and submit a reclamation plan that meets the requirements of Section NR 135.19, Wisconsin Administrative Code. Financial assurance must be maintained for each site that has sufficient funds to complete reclamation of the site. Each site is inspected annually for compliance and the required financial assurance monitored annually to ensure adequacy.